logo-locauxrama

Local d'activite à Vendre de 6.860m² à Vauvert - Réf. 30.0163

Présenté par SMILE RES

9.750.000€ HT

Touchez l'image pour voir tous les visuels

Description

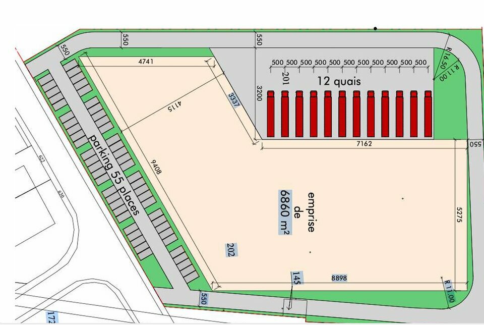
VAUVERT LOGISTIQUE VOTRE FUTUR SITE

Sur un foncier de 17 000 M2 environ, le projet Vauvert Logistique est conçu comme une base fonctionnelle adaptable, destinée à évoluer selon les besoins spécifiques de l'utilisateur final, possibilité d'environ 6 900 M2 de bâti. Sur la base d'un programme logistique rationnel (hauteur utile, quais poids lourds, circulations optimisées), chaque projet est développé en étroite collaboration avec l'entreprise utilisatrice afin d'intégrer ses contraintes opérationnelles, techniques et économiques. Cette approche clef en main permet de concevoir un outil immobilier parfaitement aligné avec les exigences d'exploitation, tout en garantissant maîtrise des délais, des coûts et de la qualité de réalisation.

Prix donné à titre indicatif qui évoluera à la baisse ou à la hausse en fonction des prestations demandées et de la surface construite


DPE En cours

Les informations sur les risques auxquels ce bien est exposé sont disponibles sur le site Géorisques : www.georisques.gouv.fr

Informations financières

  • Prix de vente :

  • Honoraires :

  • 9.750.000 Euros HT

  • Nous consulter

Surfaces proposées

Surface totale de 6860 m²

Accès routiers

A9 à 15 Mns
A54 à 20 Mns

Consommation énergétique

DPE : En cours de réalisation.

Offres similaires

Surface totale 794 m² - Dispo. Immédiate

LOCAL D'ACTIVITE

30600, VAUVERT

30_000361

Surface totale 794 m² - Dispo. Immédiate

LOCAL D'ACTIVITE

30600, VAUVERT

3448219713